Skip to content

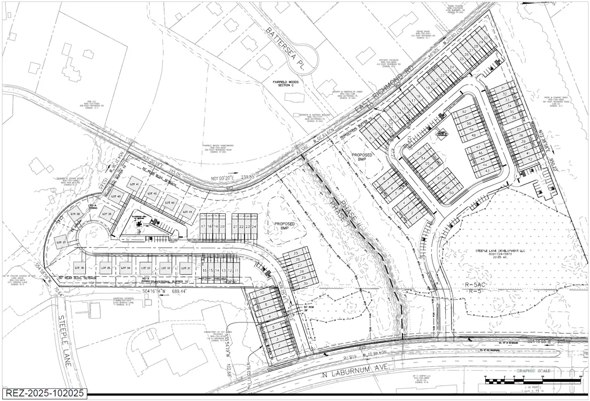
Henrico Planning Commission to weigh 4 residential development proposals Oct. 9 • St. Mary’s Hospital to add 8 stories of critical care to address growing demand