
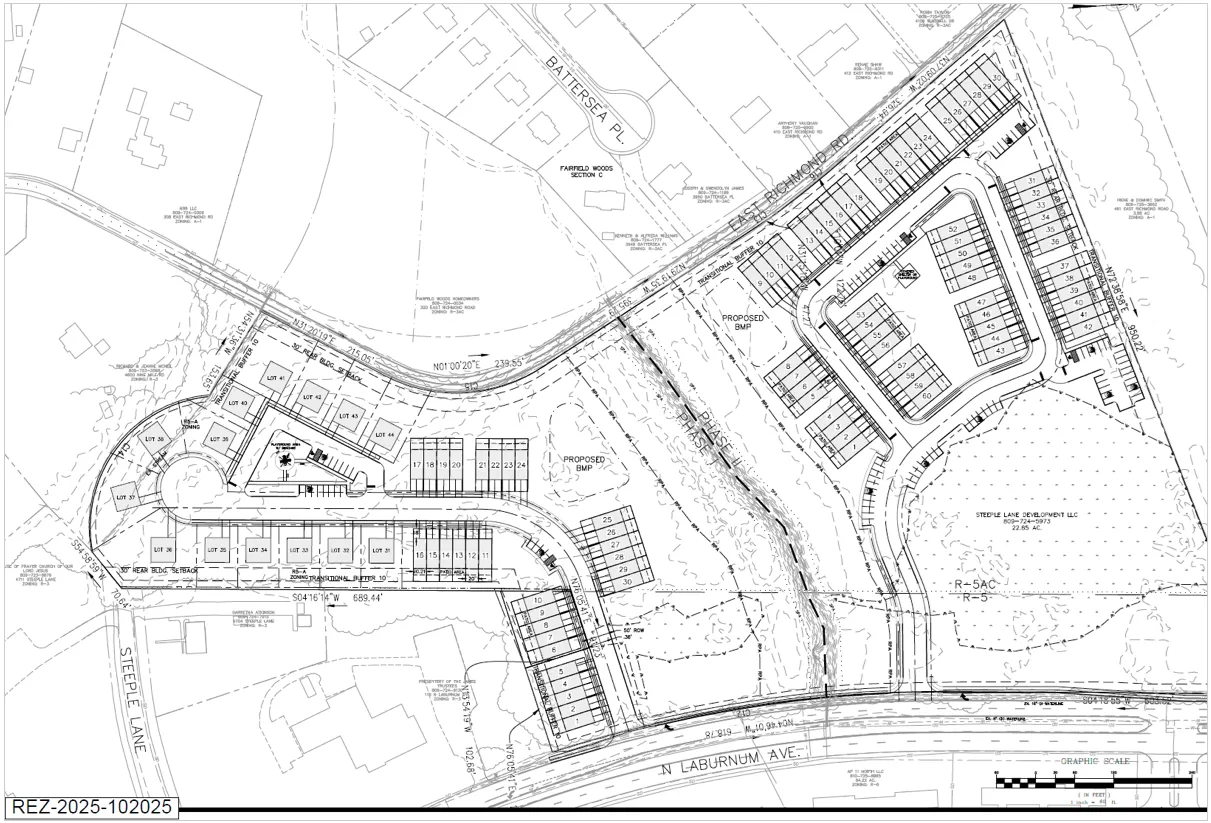
Henrico Planning Commission to weigh 4 residential development proposals Oct. 9
At its Oct. 9 meeting, the Henrico Planning Commission will revisit three proposals for residential developments that were deferred from its August and September meetings, as well as one new proposal. Together, the proposals could amount to 259 residential units, though planners are not recommending approval of all four cases. Click here to read more









Walk, fitness forum for ages 50+ planned Oct. 10 at Henrico Sports and Events Center
Eastern Henrico Rec Center to show 'Beetlejuice' outdoors Oct. 10
Curtain Call to host Fall Consignment Sale at Regency Oct. 10-26
• Girl Scouts of Virginia opens new HQ in Henrico (Richmond BizSense)
• Henrico County to give away 750 potted trees as part of the Plant Native! Festival (ABC 8)

• Opposition to Quioccasin-Tuckahoe redistricting dominates discussion at second school board town hall
• Henrico to build $303M water pipeline to fulfill ‘all current water needs’ for county
• Henrico Police arrest and charge 8 following multi-jurisdictional vape shop stings
• 'It’s inhumane' – Officials, human rights advocates, readers react to ICE flights from RIC
• Henrico plans to replace bridges on historic Kanawha Canal with recent purchase



Advertise • Place a public notice • Support the Citizen • Contact us
Read archived articles • Henrico News Minute podcast • Submit a tip